2001.com.ve
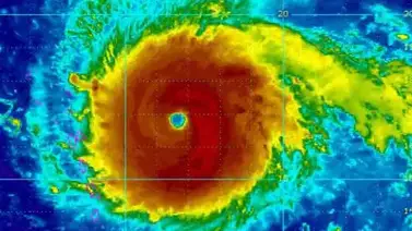
Este martes, el huracán Irma se fortaleció y se convirtió en categoría 5 con vientos de hasta 281 kilómetros por hora, según datos de una aeronave que sigue el ciclón.
Noticias Relacionadas
Irma es el huracán más fuerte en la zona del Atlántico y fuera del Caribe y el Golfo de México jamás registrado, según el Centro Nacional de Huracanes.
Se cree que Irma seguirá siendo un huracán peligroso a medida que se acerca a las islas Leeward y afirman que aún es pronto para saber si impactará a Estados Unidos.
El huracán se mueve hacia el oeste en el Océano Atlántico, Puerto Rico y Florida se prepara para su posible llegada.
